Multas de 100 mil RD$ a patanas por estacionar remolques en autopistas
¿Qué pasó?
En agosto, 12 conductores de vehículos pesados (“patana”) fueron sancionados con multas de 100,000 pesos dominicanos cada uno, por dejar el remolque (cola)...
Suspendidos policías tras muerte de cinco hombres en Santiago: ¿verdad o versión oficial en...
¿Qué pasó?
El Ministerio de Interior y Policía anunció la suspensión inmediata de los agentes policiales involucrados en la muerte de cinco hombres en Santiago....
Taylor Swift hace real lo que cantaba: su compromiso marital en canciones
¿Qué pasó?
Taylor Swift y Travis Kelce anunciaron su compromiso matrimonial el 26 de agosto de 2025 mediante una publicación conjunta en Instagram. En el...
Se entrega el presunto asesino de Charlie Kirk tras conmoción en EE. UU.
Qué pasóTyler Robinson, un joven de Utah, se entregó voluntariamente a la policía aproximadamente un día y medio después del atentado que terminó con...
Mujeres dominicanas cambian la literatura: llega la primera antología mágicoreligiosa
La Hermandad Escritores de Literatura Mágicoreligiosa de la República Dominicana presentará oficialmente el 29 de septiembre, a las 4:00 p.m., en el Paraninfo de...
Estrés: El enemigo invisible que todos enfrentamos
¿Qué es el estrés?
El estrés es un estado de tensión mental o emocional causado por situaciones difíciles o exigentes. Es una respuesta natural del...
Marileidy Paulino acaba cuarta en los 200 m del evento Athletissima en Suiza
Marileidy Paulino, campeona olímpica y mundial de los 400 metros, terminó en cuarto lugar en la prueba de los 200 metros del evento Athletissima,...
Cuatro dominicanos aceptan extradición voluntaria por estafar a ancianos en EE. UU.
Cuatro ciudadanos dominicanos aceptaron voluntariamente ser extraditados a Estados Unidos para enfrentar cargos en un caso llamado la "estafa de los abuelos". La decisión...
Cierre del túnel de Las Américas por tres horas: retiran poste dañado
El Ministerio de Obras Públicas y Comunicaciones (MOPC) anunció este lunes un cierre temporal del acceso oeste–este del túnel de la avenida Las Américas,...
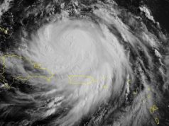
Erin descargó intensas lluvias: 128 mm en 24 horas
El huracán Erin —ahora degradado tras haber alcanzado categoría 4— dejó lluvias significativas en varias provincias de la República Dominicana. Según el Instituto Dominicano...











